十大足彩平台

  • 足彩平台门户网站
  •   
  • 关注我们:
    • 搜索
今天是2019年4月13日 星期六欢迎进入开平市自然资源局!
足球外围平台 澳门新葡京娱乐 DB电子 威尼斯人博彩 365bet(中文)官方网站 体育博彩app推荐
您当前的位置:首页 > 开平市自然资源局 > 规划公告
关于开平市长沙街道办事处侨园路原侨园宾馆地块(黄金海岸四期住宅小区)详细规划调整的公示
发布日期:2019-08-23 08:30
来源:本站
打印
【字体:

 

开平市长沙街道办事处侨园路原侨园宾馆地块(黄金海岸四期住宅小区)详细规划调整的公

    

    开平市骏业房地产开发有限公司申请办理开平市长沙街道办事处侨园路原侨园宾馆地块(黄金海岸四期住宅小区)详细规划调整手续。

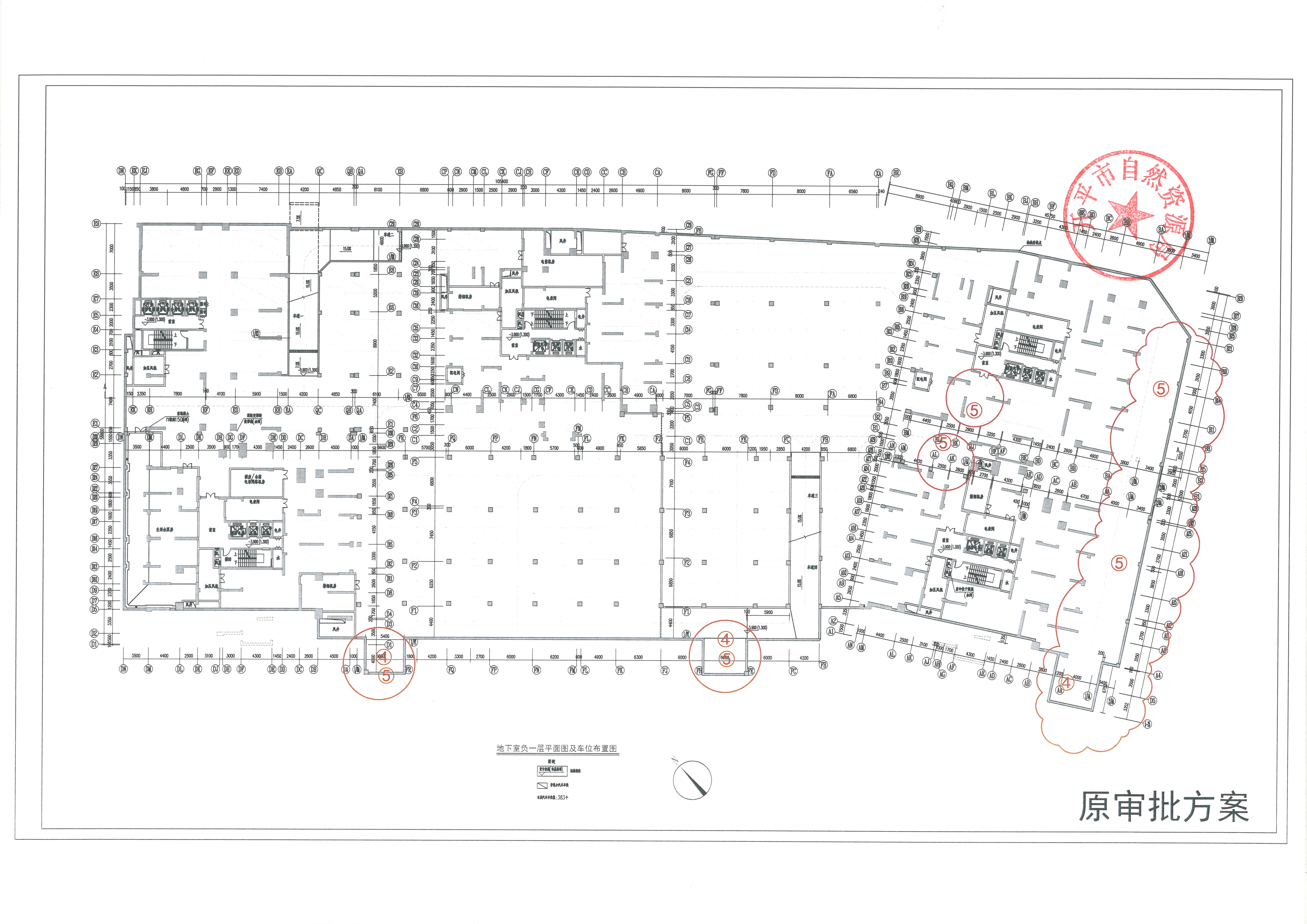
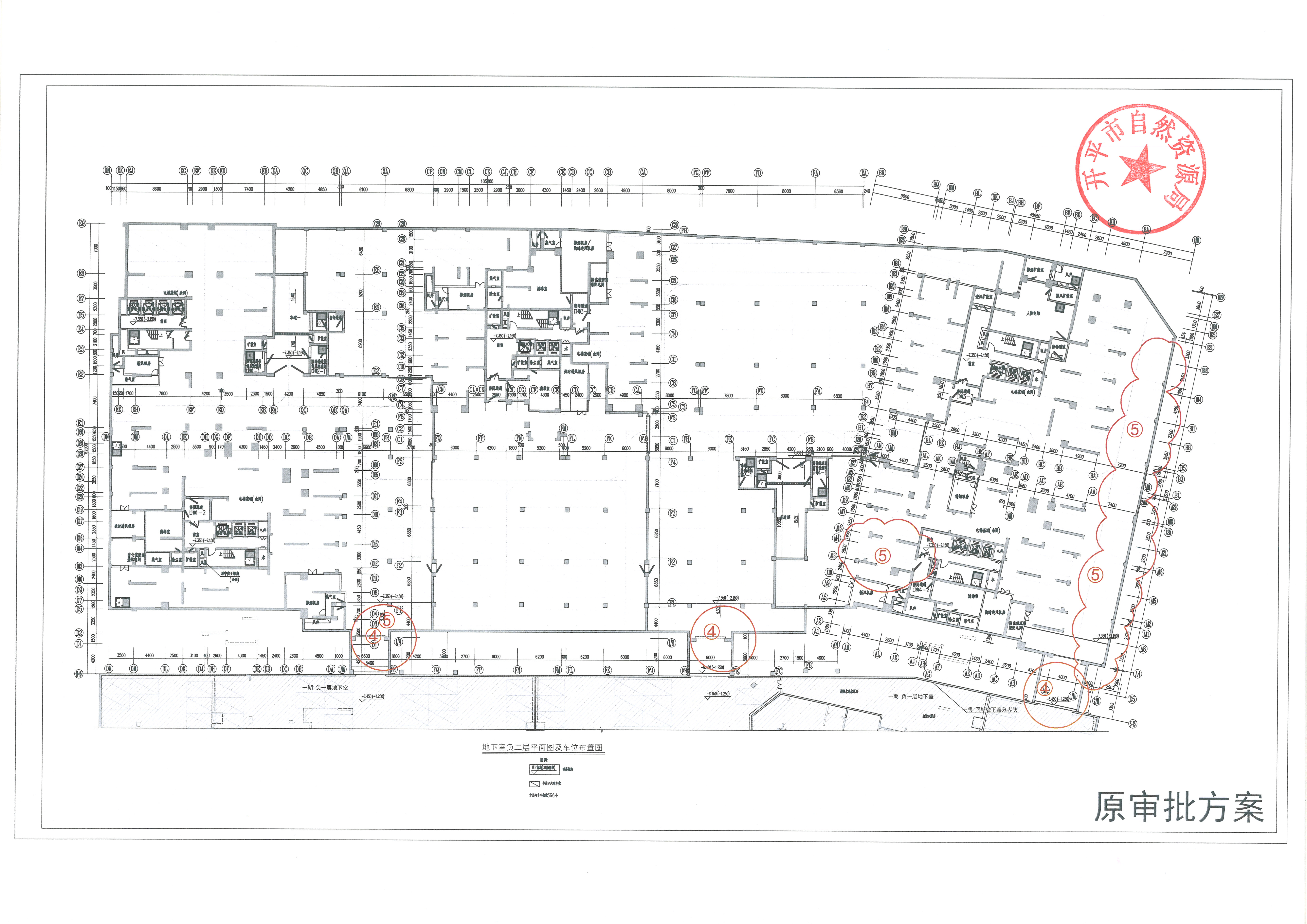
     主要调整内容:①调整四期花园的布局(优化花园地块的铺装样式,调整泳池的上落口位置,泳池边增加花架);②调整四期住宅的户型,取消顶层复式户型;③四期6#、9#住宅楼首层增加公厕;④一~三期负一层车库原与四期负二层车库相连接,现调整为与四期负一层连接;⑤四期地下车库部分停车位布局调整。本次详细规划调整除上述5点调整外,其它均按原审批的规划方案实施。

    以上所提及的各项调整详见附图。依照《中华人民共和国城乡规划法》有关规定,现将调整方案予以公示。

    受理方式:凡涉及本次规划方案调整的利害关系人,在公示期内凭本人身份证明、利害关系相关证明等文件来我局提出书面意见,逾期未提出的,视为放弃上述权利。

    公示时间:2019823日至20199117:30时止。

    公示地点:黄金海岸四期住宅小区项目现场、城市南广场规划公告栏、开平市自然资源局网站(http://www.kaiping.gov.cn/kpgtzy)。

受理单位:开平市自然资源规划局

联系电话:2257762

人:张伟林

传真:2257700E-MAIL:guihuaju@kaiping.gov.cn

联系地址:开平市新海东路1号,邮编:529300

                                                                                                   

                                                开平市自然资源   

                                                 2019823



相关附件:

 
亚洲博彩网站 |
联系我们 网站帮助 网站地图 服务申明
 版权所有:亚洲十大足彩排行榜    主办:足彩平台 
备案编号: 粤ICP备05079694号  网站标识码:4407830003  粤公网安备; 44078302000116
开平发布政务微博
开平发布政务微信