十大足彩平台

  • 十大足彩平台门户网站
  •   
  • 关注我们:
    • 搜索
今天是2019年4月13日 星期六欢迎进入开平市自然资源局!
沙巴体育 IM体育 澳门银河网上赌场 bwin·必赢中国官网 Ladbrokes立博官网 太阳城app
您当前的位置:首页 > 开平市自然资源局 > 规划公告
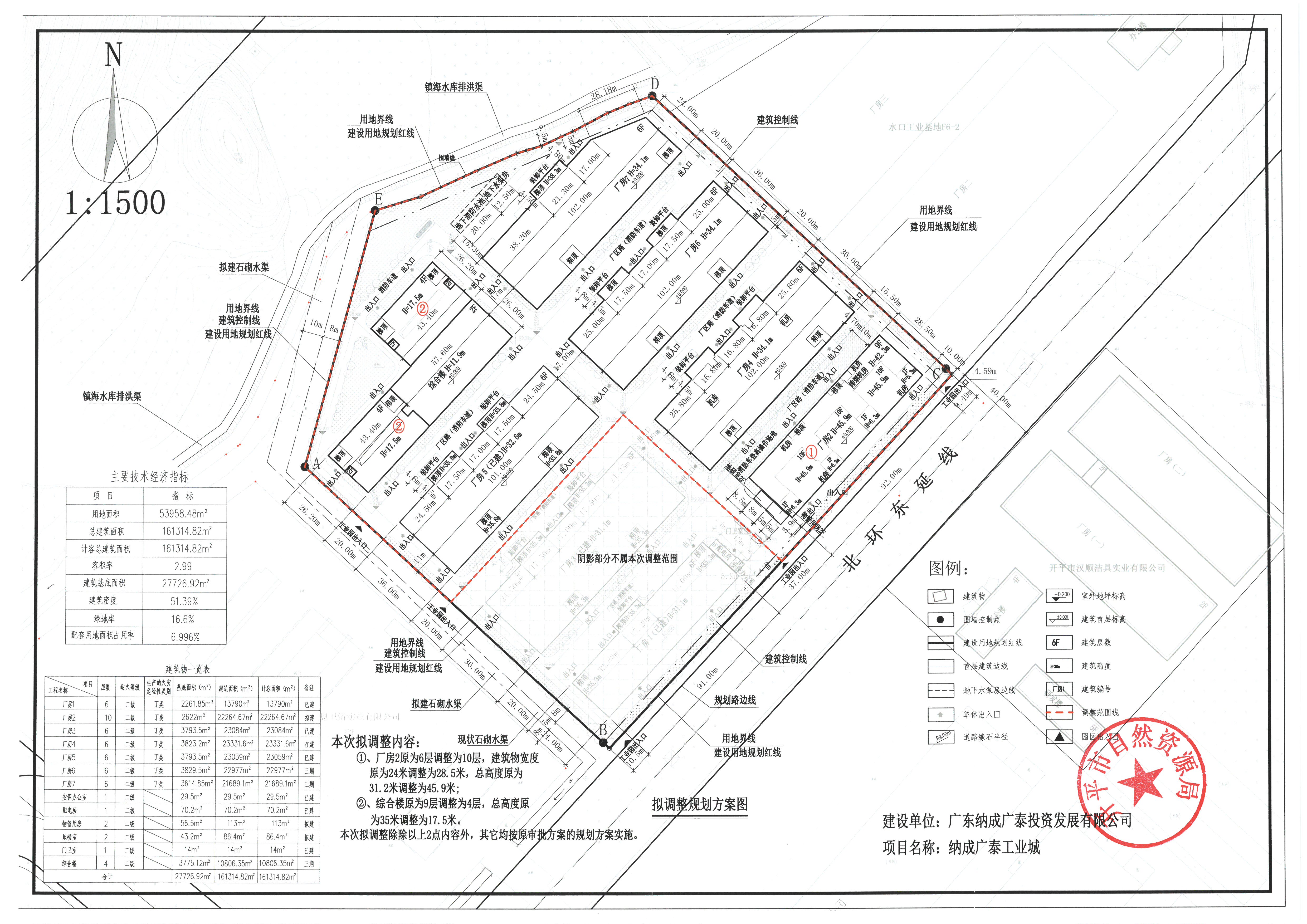
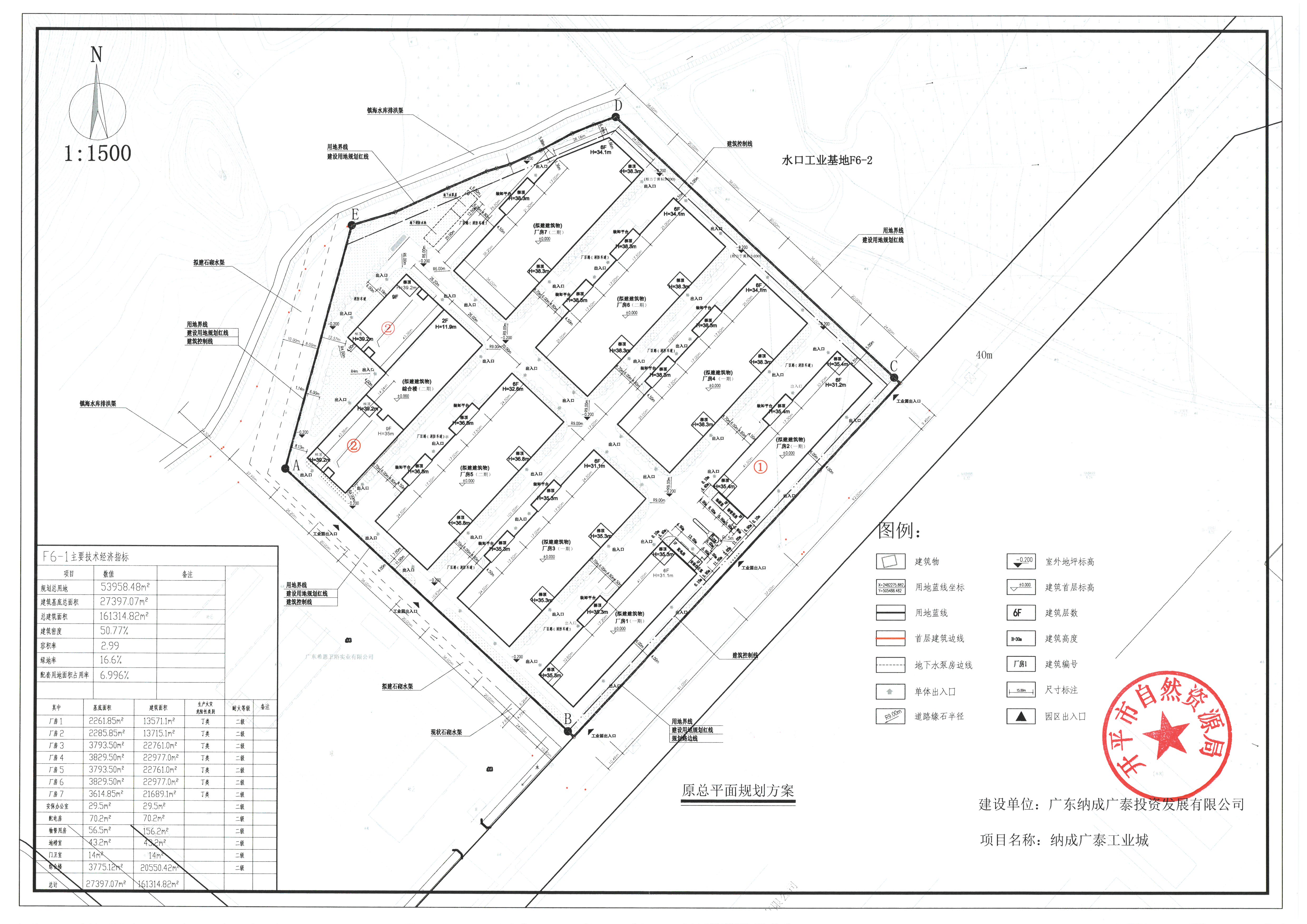
关于开平市水口工业基地F6-1号地块详细规划方案调整的公示
发布日期:2020-10-09 11:38
来源:本网
打印
【字体:

关于开平市水口工业基地F6-1号地块详细规划方案调整的公示.jpgSKM_C22620100908571_0001.jpgSKM_C22620100908571_0002.jpg

相关附件:

 
世界杯投注 |
联系我们 网站帮助 网站地图 服务申明
 版权所有:足彩平台    主办:足彩平台 
备案编号: 粤ICP备05079694号  网站标识码:4407830003  粤公网安备; 44078302000116
开平发布政务微博
开平发布政务微信